

Bundeskanzler Friedrich Merz ist gemeinsam mit dem ukrainischen Präsidenten Wolodymyr Selenskyj und mehreren europäischen Kollegen auf dem Weg in die Vereinigten Staaten, um mit dem amerikanischen Präsidenten Trump über den Frieden in der Ukraine zu verhandeln. Im Weißen Haus wird man jedoch heute vermutlich ganz andere Probleme haben, denn ein Hurrikan von gigantischen Ausmaßen rast im Augenblick auf die amerikanische Ostküste zu und könnte dort katastrophale Einwirkungen haben.
Kontinuierliche Verstärkung
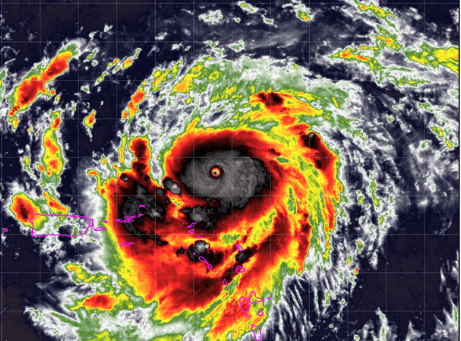
Hurrikan Erin ist der erste in dieser Saison und wurde im Ausgangspunkt nur als ein kleiner Sturm der Kategorie 1 angesehen. Im Laufe des vergangenen Wochenendes nahm der Orkan jedoch an Stärke zu und hat bereits in der Karibik verheerende Schäden angerichtet. Innerhalb weniger Stunden musste Erins Kategorie auf 3 angehoben werden, und die Meteorologen im amerikanischen Wetterdienst gehen davon aus, dass weitere Änderungen nach oben notwendig sein werden. Erin könnte mit einer Windstärke von mindestens 260 Kilometern pro Stunde und Unmengen von Wassermassen bald auf die Ostküste der Vereinigten Staaten treffen, und amerikanische Nachrichtenbüros bezeichnen Erin bereits als „einen Sturm, der in die Geschichte eingehen wird“.
Ostküste evakuiert
Die Behörden im amerikanischen Bundesstaat North Carolina haben bereits den Notstand ausgerufen und die Bevölkerung aufgefordert, sich auf das Schlimmste vorzubereiten. Weite Teile des Bundesstaates wurden bereits evakuiert und der Flugverkehr eingestellt. Auch die Bahamas, Puerto Rico und die Virgin Islands sind bereits im Katastrophen-Modus, aber Meteorologen erwarten, dass Erin erst beim Erreichen der amerikanischen Küste ihre volle Größe erreichen wird. Neben enormen Windstärken und Starkregen warnen die Meteorologen die Küstenregionen und Inseln vor Riesenwellen und potenziell lebensbedrohlichen reißenden Strömungen an den Stränden. „Dieser mächtige Hurrikan wird eine enorme Energie in den Ozean leiten, die an allen Küsten von der Karibik bis Kanada, einschließlich der Bahamas und der Ostküste der USA, zu spüren sein wird“, sagt der Hurrikan-Experte des amerikanischen Nachrichtensenders FOX News voraus. Auch Europa könnte etwas von Erin zu spüren bekommen, denn gegen Ende der Woche bewegt sich der Hurrikan auf die britischen Inseln und Irland zu, aber bis zu diesem Zeitpunkt wird der Orkan beträchtlich an Stärke verloren haben.